
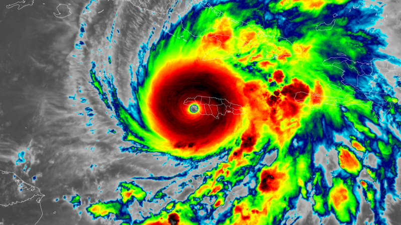
Powerful Hurricane Melissa continues to lose some strength, but remains a very dangerous hurricane as it tracks over Jamaica and heads towards Cuba.
So far, no deaths directly linked to the storm have been reported in Jamaica since it made landfall earlier today, the country’s Tourism Minister Edmund Bartlett told CNN.
Here’s what you should know:
Melissa’s path: Cuba is set to face Melissa’s wrath next. The hurricane is forecast to make landfall in southeastern Cuba overnight, likely a few hours after midnight, as either a Category 4 or a high-end Category 3 storm. Cuba is set to see 20 to 30 inches of rainfall that could trigger life-threatening flash flooding and mudslides, 130 to 140 mph winds near its center at landfall and up to 12 feet of storm surge. Here’s what to expect from the storm in other select cities going forward.
Category 4: This afternoon, Melissa was declared a category 4 hurricane with winds of 145 mph, according to the National Hurricane Center.
Widespread destruction: Despite the hurricane’s center moving just off land, its ferocious wind, torrential rain and storm surge are still slamming Jamaica. Hundreds of thousands of people on the island are without power, officials said, and “close to 15,000 Jamaicans” are in emergency shelters. Extensive damage is being reported across southwestern Jamaica, including in the parish of St. Elizabeth, an official from the country’s disaster management body told CNN, with schools, homes, and hospitals affected by the hurricane. Also, some of Jamaica’s main food-producing regions are being “battered” by Melissa, a World Food Programme (WFP) official told CNN Tuesday.
CNN Meteorologist Mary Gilbert, Taylor Ward, and CNN’s Hira Humayun, Elise Hammond, Tori B. Powell, Billy Stockwell and Catherine Nicholls contributed reporting.