Toy company Mattel is progressing with plans to build a major new indoor water park in Central Florida under its Mattel Wonder Indoor Waterpark concept, following an announcement in November that Orlando would be one of the first locations for the branded parks.
Mattel Wonder Indoor Waterpark Location in Orlando

Mattel announced back in November that Orlando would be one of the first locations for its new branded theme parks.
As reported by Orlando’s Fox35, newly filed documents with Orange County reveal the prospective site for the project along State Road 535 near the Lake Buena Vista Factory Stores, approximately 10 minutes from the Walt Disney Resort.
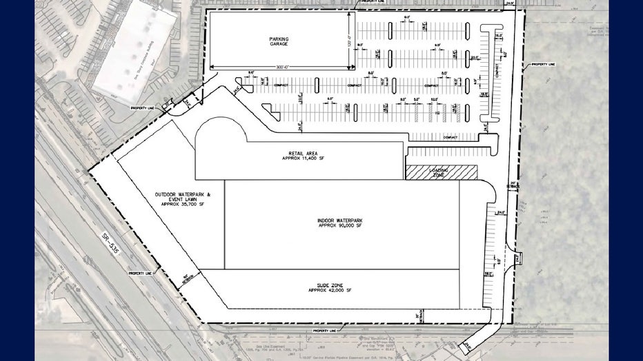
The facility is planned for an 11-acre parcel and is described in the permit filing as part of a “tourist commercial resort” that would include both indoor and outdoor water park attractions, retail space, and a family entertainment center.
The development concept includes a substantial 90,000-square-foot indoor water park, an 11,400-square-foot retail area, and a 42,000-square-foot slide zone, as well as outdoor features comprising about 35,700 square feet of water park space and an event lawn. Parking provisions include both a garage and surface parking.
Mattel’s plans call for the park’s attractions to leverage several of its prominent brands, including Barbie and Hot Wheels, with themed lazy rivers, wave pools and water slides among the envisioned features.

Mattel water park imagery at IAAPA Expo in November 2025 in Orlando | Credit: Blake Taylor
Orlando-based aquatic design firm Martin Aquatic is leading the water park design, with experience on projects such as Universal’s Volcano Bay and Royal Caribbean’s Perfect Day at CocoCay. Mattel is also partnering with American Resort Management and developer Identity Group for the project.
The Orlando site represents one of five planned Mattel Wonder Indoor Waterpark locations nationwide, with additional sites already announced in Bellevue, Nebraska, and Bradley, Illinois. These developments are part of Mattel’s broader expansion into location-based entertainment destinations grounded in its intellectual property portfolio.
Are you excited for a new theme park experience in the Orlando area? Let us know your thoughts on the project on social media.
For the latest Disney Parks news and info, follow WDW News Today on Twitter, Facebook, and Instagram.

