Benderson Development Co. LLC is laying the groundwork for development of its proposed 1,003-acre residential, retail and industrial development in North Jacksonville.
Benderson, based in University Park, near Sarasota, asked city utility JEA to determine the service availability for the master development north of Pecan Park Road between Main Street to the east and Interstate 95 to the west. It filed the request Feb. 9.
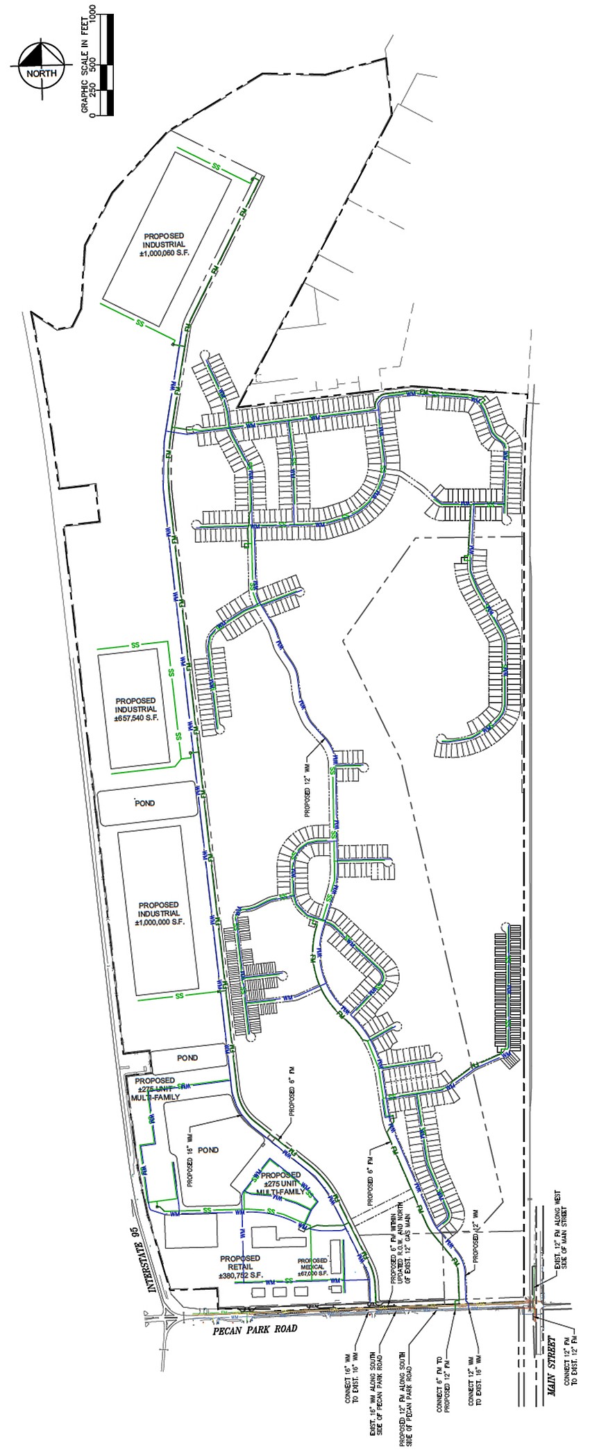
The description of the Bacardi Master Plan, referring to the previous owner of the land, says full build-out will include:
• 2,657,600 square feet of industrial use among two estimated 1,000,000-square-foot buildings and an almost 657,600-square-foot building.
• 380,752 square feet of retail use, including a Publix Super Markets Inc. store.
• 67,000 square feet of medical use.
• 623 single-family residences.
• 550 multifamily units, comprising one-, two-, three- and four-bedrooms.
• 228 town homes.
The Bacardi West development comprises the industrial, retail, medical and multifamily uses. The retail and medical uses are at the southern end of the property along Pecan Park Road. The industrial buildings front I-95
The Bacardi East development comprises the single-family and town home residences.
The plan indicates two primary internal roads. One connects Pecan Park Road in the Bacardi West development.
Another in Bacardi East connects Pecan Park Road through the residential portion, with more street connections within the housing developments.
The development site is owned by entities of Benderson Development Co. LLC.

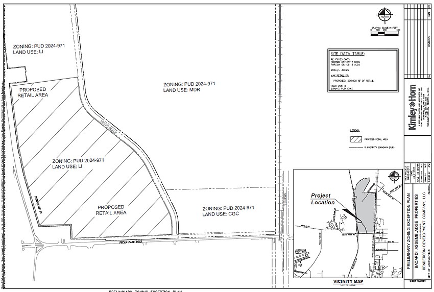
A map of the southern half of the Benderson property shows retail and commercial zoning along Pecan Park Road with a residential area. The north end of the property shows Light Industrial.
Publix anchor
Publix gained momentum when Jacksonville City Council voted 16-0 on Nov. 12, 2025, to approve Ordinance 2025-0763, which grants a zoning exception to Publix Super Markets Inc.
The exception allows for retail sales and service of all alcoholic beverages for on-premises and off-premises consumption at Publix and a separate Publix Liquors store in the mixed-use development.
The grocery and liquor store would be built in the same plaza but in separate units, according to a Jacksonville Planning Department report on the exception. A map shows a new road north through the property called Nexus Place. The area wraps around what is now an Amoco gas station.
A recap
The Benderson property has been in development for several years.
In 2024, Council voted to rezone the property to Planned Unit Development, with different land use categories designated for each pod of the property.
The PUD allows for a large mixed-use development sought to permit commercial, industrial, residential and conservation uses.
The designated land uses on the property are Conservation, Light Industrial, Community General Commercial, Medium Density Residential and Low Density Residential.
Benderson first filed with the city in November 2024 to include a grocer on the property.
The Daily Record then reported that JEA was looking at the service availability for a project that included a 53,402-square-foot grocery, along with 1.539 million square feet of industrial space and 67,725 square feet of retail space.
Benderson, a privately held real estate company, bought the majority of it in 2007 from Bacardi Bottling Corp., which operates a rum-bottling plant at 12200 N. Main St.

Plans for the Benderson property at Pecan Park Road and Interstate 95 in North Jacksonville include 2,66 million square feet of industrial space; 380,752 square feet of retail, including a Publix supermarket; 67,000 square feet of medical use; 623 single-family residences; 550 multifamily units; and 228 town homes.