New permit images are showing us what Epic Universe’s first expansion will look like once completed. This $20 million events space will feature the same ornate decor as the rest of Celestial Park. Plus, construction continues on adding permanent fireworks launch sites to the park. And a transportation system similar to the Las Vegas Loop has been selected to connect Epic Universe to the rest of the resort.
Let’s dig into those stories and more in today’s news update. See the video version of this story below for additional visuals.
Recent aerial view with expansion on right, All Aerial Photos by @Bioreconstruct
Event Space Plans Revealed
Work site prep for construction on the multi-purpose event space is picking up steam. Holes have been dug for access to utility lines.
Different types of gravel and dirt have been brought in, including this large pile of earth can be seen here with heavy machinery nearby.
This, the park’s first major expansion since opening last May, is known in permits as Project 915. Universal Orlando has not announced this project officially, so everything we know about it has been from permits publicly filed with Orange County.
Project outline as seen in permit image, fasttrack.ocfl.net
New permit details confirm this will be a “new event space facility building of 53,886 gross square feet total that consists of 2 levels. The first level will house the main event space.” It will also have support for the event space on the lower level, with new office spaces to service the park on the upper level.
Another new permit describes the installation of solar panels on the roof of this new structure.
Permit describing installation of solar on roof, fasttrack.ocfl.net
According to detailed permit information, first obtained by Orlando Business Journal, this event space will cost Universal $20.6 million
Permitted plan image showing roof design, Orange County Government
New permit images show the same style canopy and awning as nearby shops located at the front of Celestial Park, Epic Universe’s central hub and entry area. This could mean that the structure will be guest facing, and not just hidden backstage.
Project description and layout as seen in permitted plans, Orange County Government
Permitted plans describe how the main event space will be 2 stories tall inside, the full height of the structure.
A commercial kitchen will be located on the first floor, located directly behind the event space. This will be for catering special events at the venue as needed.
Above the kitchen, on the second floor at the back of the structure, plans describe offices and meeting rooms. These offices will be utilized for park services beyond the needs of just the event space itself.
Building layout with labels added
The structure was designed to be built around the existing liquid nitrogen tank, keeping the concrete pad where it sits unaffected by upcoming construction.
Exterior views from these permitted plans give us a better idea of how this structure will appear once completed.
Exterior 3-dimensional view in permitted plans, Orange County Government
With awnings and architectural elements similar to nearby shops located to its left, like Other Worlds Mercantile and Moonship Chocolates, this building appears to have been designed to fit right in with the rest of the park.
The roof in these exterior views appears to be covered in solar panels, just as had been described in recent permits.
Overhead view from permitted plans, Orange County Government
While it is not known exactly how the event space will be used exactly, multiple examples are given in official documents, as first reported in the Orlando Business Journal.
Events held here could hold 1,200 to 1,400 guests at a time, with optional set ups to be able to include banquet tables and seating, and/or a stage, a dance floor, and more.
Stage 33 seen on left in recent aerial photo by Bioreconstruct
Just like the Stage 33 multi-purpose structure in Universal Studios Florida, which is located backstage near the New York section of the park, this event building will contain restrooms at the front portion of the building, as part of its entrance lobby.
Also like stage 33, it appears, at least in these plans, that the name for this structure will simply be “Sound Stage.”
Front detail view from permitted plans, Orange County Government
A close up image of the design for the exterior sign from the plans is shown in the next image.
Close up view of front entry sign plan, Orange County Government
Renderings included in the plans show how this event building will fit into the existing theme park area. It will connect to the existing courtyard area across from the Atlantic restaurant, slotting in nicely, as if it was always meant to be here.
Full plan image shown in context, Orange County Governement
The next image shows how the design might appear when overlaid into one of the recent aerial photographs from Bioreconstruct.
Permitted plan image overlaid onto aerial photo by Bioreconstruct
A timetable for the completion of the events project is not yet known. With the permits and plans calling for offices, training rooms, entertainment storage, team member break areas, and other park services planned as part of this project, these elements may be playing a role in why this expansion was greenlit first.
Fireworks launch site behind Epic Universe, Aerial Photos: Bioreconstruct
Fireworks Launchpads Construction
Since we checked in last month, work has continued on the construction of new permanent launch pads for fireworks at Epic Universe.
The main launch pad in the pond behind the park now connects via a gravel road all the to the backstage access road from its location at the end of the peninsula.
New electrical boxes and what appear to be lights are being installed along the sides of the paved launch pad.
A small enclosed bunker has been installed on the smaller concrete foundation we saw in prior updates closer to shore.
Two more of these prefabricated bunkers can be seen staged nearby.
These are likely for the two secondary launch sites on the left and right sides of the theme park.
New permits have posted for the installation of these two prefabricated structures, which are called sheds in official documents, on the rooftops of both Monsters Unchained in Dark Universe and Battle at the Ministry at Wizarding World.
Permits for prefabricated sheds to be installed on rooftops, fasttrack.ocfl.net
These two permitted spots are where we expect the secondary fireworks launch sites to be located.
A new nighttime show, called “Celestial Goodnight” in a trademark filed by the company, has been rumored to be hopefully ready this year. Universal has not yet announced a new show though.
Logo filed by Universal with the U.S. Patent & Trademark Office
The new fireworks launchpads are not expected to be utilized for guests shows until July 4th at the soonest now, but many are hoping they will continue to be used for the new show shortly after as well.
Future expansion site behind Wizarding World, Aerial Photos: Bioreconstruct
Wizarding World Expansion Update
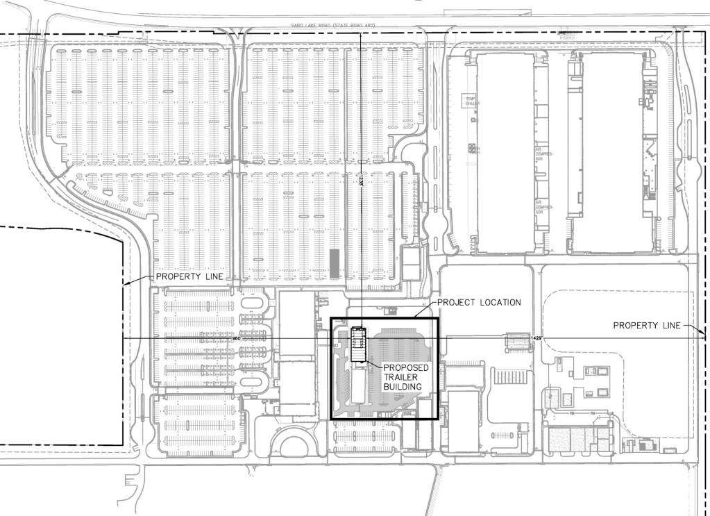
Even though we have not seen any changes on the upcoming massive expansion to the Wizarding World, new permits have been filed for land improvements around the portable office buildings behind this area.
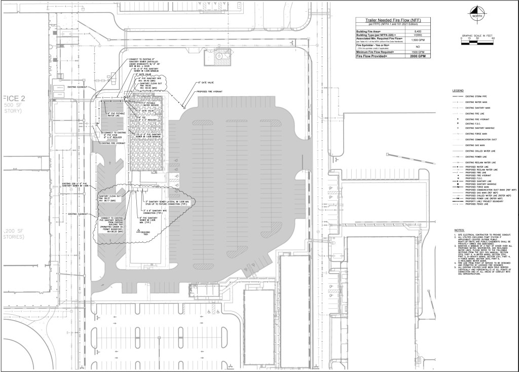
Project location seen in permits, FDEP
Filed with the Florida Department of Environmental Protection, permits show new grading work and paving to take place around the trailers in the backstage area known as Rico’s Ranch.
Related utility work at trailer site, FDEP
The area where this work is happening is directly behind the future Wizarding World expansion, so it may be related.
Rico’s Ranch site as seen in recent aerial view by Bioreconstruct
See our last Epic Universe update for more details on the upcoming Wizarding World expansion, which will see an attraction set within a huge 150,000 square foot building added to the land.
The Boring Company official photo, Shingle Creek Transit and Utility CDD
Boring Co. Selected for Transit System
Universal Orlando’s special district, the Shingle Creek Transit and Utility Community Development District, has voted for The Boring Company to design and build their transportation system.
Excerpt from district resolution document, Shingle Creek Transit and Utility CDD
Several groups were competing for the project, and each had submitted proposals, but Boring was selected because, as the district says: “Of the three RFQ (Request for Qualifications) responses, Board members determined that The Boring Company’s proposal best addressed the District’s request for an innovative, future-ready, point-to-point solution.”
Image from Balfour Beatty proposal, Shingle Creek Transit and Utility CDD
Two other proposals, which were not selected by the special district included Balfour Beatty, which proposed an autonomous vehicle system similar to Jacksonville Transportation Authority’s Ultimate Urban Circulator program.
Balfour Beatty proposal images, Shingle Creek Transit and Utility CDD
Balfour would have brought together multiple firms to design and construct the project, once again enlisting Beep as their supplier of self-driving shuttles just like the Jacksonville project.
Beep in Florida from Balfour proposal, Shingle Creek Transit and Utility CDD
Their proposal suggested “dedicated autonomous vehicle lanes where possible, supported by mixed-traffic operations where necessary.”
Glydways vehicles from Sunshine Partners proposal, Shingle Creek Transit and Utility CDD
Another proposal, from Sunshine Connection Partners, offered a similar transportation solution. Like Balfour Beatty’s, this system would also utilize automated shuttles, this time from Glydways.
Unlike the previous proposal though, Sunshine was suggesting a mostly elevated transit system, running beside—and also above—existing roadways, like Universal Boulevard and Kirkman Road.
Elevated platform image by Sunshine Partners, Shingle Creek Transit and Utility CDD
The stations for this system could be at ground level when needed, like in the rendering below for a pickup/drop off location at the Universal Helios Grand Hotel, but they could also be elevated, aligned with the above ground pathways for the system.
Sunshine Partners transit station example, Shingle Creek Transit and Utility CDD
An example of an above-ground station is included, showing a rendering of it built above the existing bus station at Universal CityWalk and parking garages.
Sunshine Partners evelated station example, Shingle Creek Transit and Utility CDD
The proposal says the automated shuttles could be themed, featuring character wraps on the exterior. They could feature themed interiors with media inside like narration, video previews, or character greetings.
Themed vehicle wraps from Sunshine proposal, Shingle Creek Transit and Utility CDD
Sunshine’s plans not only include a detailed explanation for how the first phases of the transit system would work, as required by the district, but they also included a possible example for how the system could be expanded to other stops in the future, including the addition of destinations along I-Drive.
Sunshine phase 1 proposal
Sunshine phase 2 proposal
The boring company’s proposed system, which was the one selected by Universal’s special district, will utilize Tesla vehicles to transport riders to and from the various stops across Universal Orlando, but most importantly between the Epic Universe area at the south end of the route and CityWalk to the north.
The Boring Company station in Las Vegas, Shingle Creek Transit and Utility CDD
Their proposal for the Orlando project would be similar to their Las Vegas Loop, and all imagery included in their proposal was from their Vegas projects.
Vegas Loop underground station, Shingle Creek Transit and Utility CDD
The proposal does not say how it plans to address Florida’s high water table, however a recent official comment from the company, which was published by the Orlando Sentinel, says:
“Tunneling under the water table is challenging, but quite common. Despite thinking of Vegas as a desert, its water table is quite shallow and 100% of TBC tunnels (and station/ramps) are submerged and thus have required comprehensive water management plans and infrastructure.”
The proposal does say that the loop stations themselves could be located either underground or at surface level, just like in Las Vegas.
The Boring Company ground level station, Shingle Creek Transit and Utility CDD
The company claims its Vegas Loop can transport more than 4,400 riders per hour utilizing 70 vehicles. The number of vehicles in a fleet, station sizes, and even additional tunnels can be added on to the system as needed for growth.
Vegas Loop tunnel entrance, Shingle Creek Transit and Utility CDD
A deal is not yet finalized, but they can move forward working with the company now that the district has voted. We will know more soon, including the projected cost of the project and its timeline, as contract negotiations can now begin.
Cybertunnel example in Austin, TX, Photo: The Boring Company
That’s all for now, but stay tuned to never miss an update as we cover all of these projects for Epic Universe and more. See the video version of this story for additional visuals. Big thanks to Bioreconstruct for sharing all of the aerial photos and more seen in this story.
Mine Cart Madness as seen from the air, Aerial Photos: Bioreconstruct
Subscribe to the news feed or enter your email address below to never miss an update. Plan Images: Orange County Government Permitting Office | Aerial Photos: Bioreconstruct | Graphics: Alicia Stella | Other Images as Captioned
Subscribe to Receive Email Updates
Consider supporting us on Patreon for as little as $1/month. All patrons receive behind the scenes posts and exclusive podcasts. Learn More
Related














































