Developer Embrey Partners is prepping for the next phase of a community taking shape on property owned by the Calvary Orlando megachurch located just north of downtown.
The San Antonio-based firm is overseeing plans for the 350-unit multifamily apartment complex, dubbed the Minnesota Ave. Multifamily Project, on 5.78 acres of land within the Calvary Assembly Planned Development. The two parcels —one .64 acres and the other 5.14 acres — are located north of Minnesota Avenue and south of Crandon Avenue with Formosa Avenue to the west and Clay Street to the east.
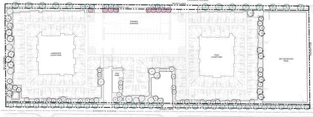
Engineering firm Kimley-Horn filed a specific parcel master plan calling for a four-story, double-donut configuration with each enclosing a courtyard — one with landscaping in the west building is 114-by-115 feet and the other with a pool is 99-by-114 feet. Residential density calculations show 16 studios, 177 one-bedroom, 141 two-bedroom and 16 three-bedroom units.
The midrise buildings are connected on the north side by a five-level parking garage and residential units on the south side. The garage has 490 regular spaces, plus 11 for individuals with disabilities. The property will have 36 spaces for parking bicycles as well as a dog park.
San Antonio-based Embrey Partners is overseeing plans to build the 350-unit multifamily apartment complex, dubbed the Minnesota Ave. Multifamily Project, on 5.78 acres of land within the Calvary Assembly Planned Development. Plans filed with the city of Orlando show a four-story, double-donut configuration with 16 studios, 177 one-bedroom, 141 two-bedroom and 16 three-bedroom units. (Courtesy of Dix.Hite+Partners)
Texas-based HEDK Architects is taking the design lead on the project, and Dix.Hite+Partners is the landscape architect.
A hearing before the city’s Municipal Planning Board is scheduled for April 21.
A Calvary representative told GrowthSpotter by phone Thursday that the project is in its early stages and there’s currently no timeline for it.
Efforts by phone and email to reach representatives of Embrey and The PR Boutique, which handles its public relations, were unsuccessful.
Calvary Orlando, which is located along Interstate 4 south of Fairbanks Avenue, extensively remodeled its church about 10 years ago to upgrade the facility and reduce its seat count by 1,500 to accommodate a shrinking congregation. That drop in seating resulted in about 500 unnecessary parking spaces, which were then subdivided and sold to Atlanta-based developer Trammell Crow Residential.
In 2019, the developer completed a 310-unit apartment building, Berkshire Winter Park, south of the church on Harmon Avenue. Then in 2021, TCR finished a 222-unit apartment building, Seven41 Winter Park, at the northeast corner of Clay Street and Oglesby Avenue, north of the church.
Embrey Partners is best known as the developer of two Class-A apartment communities in Orlando’s Packing District: The Cannery and Citron Apartments. Embrey has other developments in the pipeline in Osceola County, including the county’s first Live Local mixed-income apartments just south of Lake Nona and a market rate community closer to Disney.
Brian Bell can be reached at bbell@orlandosentinel.com. Have a tip about Central Florida development? Email Newsroom@GrowthSpotter.com. Follow GrowthSpotter on Facebook and LinkedIn.