The owners of vacant land just west of Disney’s Animal Kingdom have submitted revised plans to Orange County for an age-restricted apartment community.
Carlos Perero of Kimley-Horn, on behalf of property owner and developer Amaroni LLC of Clermont — an entity state records show is tied to Joseph and Annette Perez — submitted a land development plan April 2 for 352 multifamily units on 14.7 acres at 15525 W. Space Coast Parkway east of State Road 429.
As of Tuesday, the plans are under review by county staff, which will report back to the Development Review Committee by April 29.
Attempts to reach Joseph Perez were not successful.
After county commissioners in January 2025 denied the property owners’ request to increase timeshare entitlements on the property, they shifted gears to the current plan.
The latest application states the project falls under the state’s Live Local Act, which allows it to utilize state-mandated incentives to build affordable or workforce housing and bypass local zoning restrictions, height limits and public hearings. Under the law, eligible projects must set aside 40% of units for residents making at below 120% of the area median income (AMI) for 30 years. For 2025, that amount was $88,560 for one person.
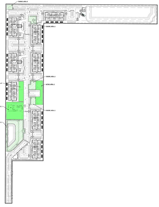
The land development plan for about 15 acres in Four Corners near Disney’s Animal Kingdom would deliver a 352-unit multifamily apartment community community for people age 55 and older to the property along U.S. 192. (Site plan from Kimley-Horn)
Earlier plans for the community, called Marbella of Orlando, showed eight four-story apartment buildings located throughout the property and a large pond on the western boundary. The latest plans dated March 27 refer to the project as Orlando World Resort Senior Living and move some of the apartment buildings west and and shifts the largest pond to the northeast corner of the site.
The plans call for 282 one-bedroom/studio units and 70 two-bedroom units with a density of 23.91 units per acre (maximum allowable 50 per acre). Surface parking consists of 345 standard spaces, 104 compact and 34 for individuals with disabilities. Fifty spaces for bicycle parking are included.
The project includes five passive amenity areas/parks with picnic areas and shaded seating located around the property. There are also three active amenity areas shown: one with a clubhouse alongside a pool area; another with four courts (earlier plans said they were pickleball courts); and a third with no details listed.
The community would provide 4.44 acres of open space, exceeding the required minimum of 3.68 acres. The required recreation space of 1.86 acres is provided by .94 acres of active space and .91 acres of passive space.
The community is situated next to Madison Waterstar, a 320-unit apartment complex from Madison Capital Group that opened in 2024. A second phase of Madison Waterstar would deliver an additional 192 apartments on a 6.5-acre parcel directly next to the existing community.
The parcel currently has entitlements for 136 timeshare units, and the property owners applied in 2023 to expand approvals on the site to allow for 342 timeshares. However, county commissioners unanimously denied that request last year, in large part due to a dispute between the applicants and representatives for the nearby Holiday Inn Club Vacations at Orange Lake Resort over use of an access road. It’s unclear if there has been an agreement now that a new application is on the table
The property is in the Waterstar Orlando Planned Development and zoned PD (Planned Development) with a future land use of C (commercial).
In addition to Kimley-Horn as civil engineer and landscape architect, Johnston’s Surveying of Kissimmee is involved in the project.
Brian Bell can be reached at bbell@orlandosentinel.com. Have a tip about Central Florida development? Email Newsroom@GrowthSpotter.com. Follow GrowthSpotter on Facebook and LinkedIn.